Baerz & Co is een landelijk samenwerkingsverband van zorgvuldig geselecteerde boutique luxury makelaars. Samen vormen wij één netwerk, met één gedeeld aanbod. De woningen die u op onze website ziet, zijn afkomstig van alle aangesloten kantoren binnen Baerz & Co. Daardoor is niet ieder object rechtstreeks door ons kantoor in verkoop, maar door een gespecialiseerde collega binnen ons netwerk. Heeft u een woning gevonden die u aanspreekt en wilt u meer informatie? Dan brengen wij u graag persoonlijk in contact met de betreffende verkoopmakelaar, zodat u direct en zorgvuldig wordt begeleid.

LEPELSTRAAT
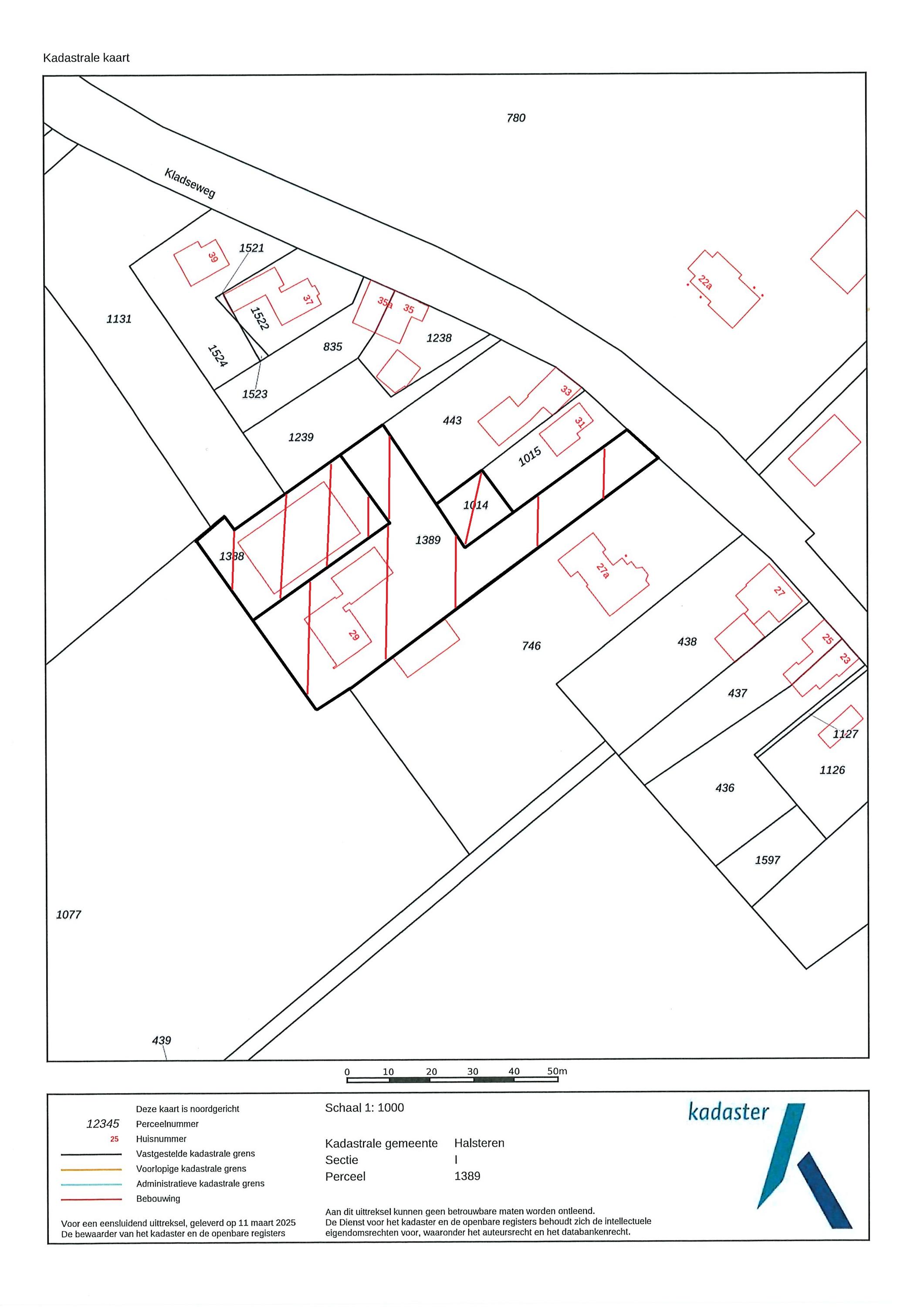
Kladseweg 29 - 4664 RB
Netherlands

Jos Toussaint profile image
Jos Toussaint
Real Estate Agent
€1,245,000 k.k.
Living Area
345m2
Plot Size
3111m2
Bedrooms
3

Description

Aan de Kladseweg 29 treft u deze vrijstaande villa uit het jaar 2003 met een perfect groen energielabel A+++, maar liefst 96 zonnepanelen en dé ideale samensmelting van privacy, wonen, werken en hobby’s op één perceel.

Zo beschikt de villa over een woonoppervlakte van maar liefst 345 m² hetgeen op alle fronten heerlijk ruim aanvoelt. De naast gelegen loods biedt een super aanvulling met opnieuw ca. 343 m² aan werk-, hobby- of opslagruimte en maken het object extra uniek op een locatie als deze.

De locatie is heerlijk rustig met enerzijds een vrij uitzicht over de landerijen aan de achterzijde en anderzijds aan de voorzijde een prettige betrokkenheid met het dorp. De ligging nabij Halsteren en Bergen op Zoom maken dat (winkel)voorzieningen binnen handbereik aanwezig zijn en zo ook bereikt u binnen slechts 5 minuten snelwegafrit A4 waardoor o.a. Rotterdam, Antwerpen en Breda binnen ca. 30 minuten bereikbaar zijn.

Het woonhuis biedt een comfortabel object met alle vormen van isolatie, een hoogwaardige afwerking en een degelijke materiaalkeuze. De living is ruim van opzet en loopt over richting de woonkeuken aan de voorzijde welke uiteraard van alle gemakken is voorzien. Ook is een werkhoek aanwezig zodat u niet altijd volledig afgezonderd hoeft thuis te werken. Werkt u liever wel in alle rust, ontvangt u af en toe klanten of werkt u met personeel? In dat geval biedt de voormalige garage met zelfstandige entree dé mogelijkheid voor het plaatsen van een complete kantoorinrichting. Uiteraard zijn alhier meerdere opties denkbaar waaronder een B&B, gastenverblijf, mantelzorgwoning of een privé gedeelte voor de jeugd. De verdieping van de garage biedt reeds een badkamer en op de begane grond is ook een keuken aanwezig.

Op de verdieping van het woonhuis bevinden zich 3 ruime slaapkamers waarbij een 4e eenvoudig is te realiseren door het splitsen van de hoofdslaapkamer. Uiteraard is de badkamer ruim van opzet en vv. zowel een ligbad, inloopdouche en dubbel wastafelmeubel. Extra opslag vindt plaats op de bergzolder welke per vlizotrap bereikbaar is.

De ware klusser, ondernemer of hobbyist kan zijn hart meer dan luchten in de royale werkplaats alwaar ook een multifunctioneel gebruik denkbaar is. Ter afscheiding van stof is het voorste en achterste deel van elkaar gescheiden, maar ook is een open ruimte denkbaar gezien de tussenwand niet constructief is. Ook alhier is weer ruimte voor extra opslag ter plaatse van de entresolvloer in hout. Uiteraard is de sectiedeur (5,8 x 4) elektrisch bedienbaar, is krachtstroom aanwezig en is ook deze ruimte weer volledig geïsoleerd.

Met in totaal 3.000 m2 aan perceeloppervlakte, een ruime oprijlaan en een tuin welke beschikt over de nodige privacy betreft dit object een ultiem object voor een zeer brede doelgroep. Zoekt u volgend object wat net ‘iets’ meer te bieden heeft dan een reguliere villa? Dan bent u aan de Kladseweg 29 te Lepelstraat zeker aan het goede adres!

INDELING WOONHUIS:
Begane grond:
Hal/entree, wandafwerking sierpleister, natuurstenen vloer, schuurwerk plafond vv. inbouwspots;

meterkast met 17 groepen, 4 aardlekschakelaars, hoofdaansluiting gas en water, alarm en intercom vv. beeldcamera t.b.v. poort voorzijde;

betegeld toilet met wandcloset en fonteintje;

woonkamer (ca. 75 m² incl. keuken en werkhoek) voorzien van een drietal schuifpuien, houthaard en een werk-/leeshoek met inbouwkastenwand, wandafwerking stucwerk, natuurstenen vloer, plafond afgewerkt met stucwerk vv. inbouwspots;

open woonkeuken waarin geplaatst een in de lengte opgestelde inbouwkeuken uit 2019 met kookeiland en vaste keukentafel, voorzien van een composiet aanrechtblad en een spoelbak, inbouw inductiekookplaat, -koeler, -combi oven/magnetron, -vaatwasser, afzuigkap en Quooker, wandafwerking stucwerk, natuurstenen vloer, plafond afgewerkt met stucwerk voorzien van inbouwspots;

bijkeuken met wasmachine-/drogeraansluiting, unit vloerverwarming, wandafwerking sierpleister, natuurstenen vloer, plafond afgewerkt met stucwerk;

tussenhal voorzien van deur naar inpandig kantoor/garage en tuin/terras;

inpandig kantoor (eventueel garage, gastenverblijf, aanleunwoning, etc.), voorzien van een tussenhal, keukenblok, inbouwkast met opstelplaats HR-combiketel t.b.v. garage/kantoor, kastenwand, 2x tuindeuren naar oprit (eventueel garagedeur), separate loopdeur naar oprit, wandafwerking sierpleister, hardhouten vloer, plafond afgewerkt met spuitwerk, een vaste trap in de tussenhal naar 1e verdieping: opgedeeld in 2 delen, vv. dakraam, airco-installatie en een badkamerinrichting met douche, wastafel en toilet.

vanuit de hal/entree een trap naar de 1e verdieping.

1e verdieping:
Overloop, wandafwerking sierpleister, natuurstenen vloer, schuurwerk plafond;

hoofdslaapkamer (ca. 28,5 m²) met een loggiabalkon, airco-installatie en een inloopkast, wandafwerking sierpleister, vloer afgewerkt met laminaat, schuurwerk plafond;

slaapkamer links achter (ca. 16,5 m²) met een dakkapel en airco-installatie, wandafwerking sierpleister, vloer afgewerkt met laminaat, schuurwerk plafond;

slaapkamer links voor (ca. 16 m²) met airco-installatie, wandafwerking sierpleister en stucwerk, vloer afgewerkt met laminaat, schuurwerk plafond;

royale badkamer voorzien van een 2-persoonsligbad, inloopdouche, infraroodpaneel, badkamermeubel met dubbele wastafel, elektrische designradiator, dakkapel en vloerverwarming;

vanuit de overloop een vlizotrap naar de 2e verdieping.

2e verdieping:
Open zolderruimte ten behoeve van extra opslag, vv. opstelplaats WTW-systeem, wandafwerking sauswerk, vloer afgewerkt met tapijt, dakplaten in het zicht.

INDELING BIJGEBOUWEN:
Loods (ca. 343 m²) voorzien van elektrische sectiedeur van 5,80 x 4 meter, houten / demontabele tussenwand, betonvloer, toiletinrichting, meterkastinstallatie met 4 groepen, 5 aardlekschakelaars, 5 krachtgroepen en PV-groep t.b.v. 96 zonnepanelen, entresolvloer in hout t.b.v. opslag op de 1e verdieping;

Fietsenberging en overkapping t.b.v. tuin-/houtopslag;

Houten hondenkennel;

Overkapping tussen de woning en de loods t.b.v. extra opslag (ca. 45 m²).

Tuin / perceel:
Aangelegde tuin rondom, terras bestraat met natuursteen, voorzien van een veranda tussen woning en loods, borders, gazon, vijverpartij, vrij uitzicht over de landerijen, vrij pad langs de woning t.b.v. achterom, lange oprijlaan overlopend in voorterrein als aangelegd met gebakken klinkers vv. straatkolken, deels betonklinkers en een groen plein, grotendeels omheind vv. elektrische poort met beeldcamera.

Bouwaard:
Woonhuis:
Traditioneel gebouwd in spouw, opgetrokken in metselbaksteen, begane grondvloer uitgevoerd in beton, 1e verdiepingsvloer uitgevoerd in beton, 2e verdiepingsvloer uitgevoerd in hout, hardhouten kozijnen, onderschoten kap gedekt met keramische pannen, koperen goten en HWA. Tevens is de woning voorzien van inpandige rolluiken t.p.v. de gehele benedenverdieping.

Loods:
Traditioneel gebouwd in spouw, opgetrokken in metselbaksteen, begane grondvloer uitgevoerd in beton, 1e verdiepingsvloer uitgevoerd in hout (demontabel), onderschoten kap gedekt met geïsoleerde platen met aluminium toplaag.

Isolatie en energie:
De woning is voorzien van vloer-, spouwmuur- en dakisolatie alsmede van isolerende beglazing. De loods is voorzien van muur- en dakisolatie alsmede van een 96-tal zonnepanelen hetgeen het geheel naar een energielabel A+++ brengt.

Verwarming, warmwatervoorziening en koeling:
De woning is voorzien van centrale verwarming met vloerverwarming als zijnde hoofdverwarming welke per ruimte afzonderlijk stuurbaar is. De HR-combiketel (fabricaat Remeha CW 6, bouwjaar +/- 2020), is geplaatst in de bijkeuken en voorziet tevens in warmwater. Het kantoor / vm. garage is voorzien van een zelfstandige CV-installatie met radiatoren (fabricaat Remaha, bouwjaar +/- 2008).

Diversen:
De woning is voorzien van centraal stofzuigsysteem

Features

Solar panels
Alarm system
Air conditioning
Transfer of ownership
Asking Price
€ 1.245.000 k.k.
Status
beschikbaar
Acceptance
in overleg
Construction
Kind of house
Eengezinswoning
Building type
vrijstaande woning
Construction period
2003
Energy rating
A+++
Roof type
zadeldak
Bedrooms
3
Bathrooms
1
Surface Areas And Volume
Living Area
345 m2
Other indoor space
484 m2
Exterior space attached to the buildinge
87 m2
Volume in cubic meters
3073 m3
Plot Size
3111 m2
Facilities
Alarminstallatie
Airconditioning
Schuifpui
Dakraam
Zonnepanelen
In woonwijk
Baerz & Co Property Brochure

Brochure

Videos

Floor Plans

Damen Makelaardij

Ambyerstraat-Noord 72
6225 EG Maastricht

j.toussaint@damen-og.nl
+31 433479090

www.damen-og.nl

Information / Viewing request

Jos Toussaint profile image
Jos Toussaint
Real Estate Agent

Buying a Luxury Property in Lepelstraat

Lepelstraat appeals to those valuing discretion, peaceful living, and a sense of tradition, supported by expert advisory services and a close-knit community. This village attracts global buyers seeking refined homes and a cultivated Dutch countryside lifestyle.